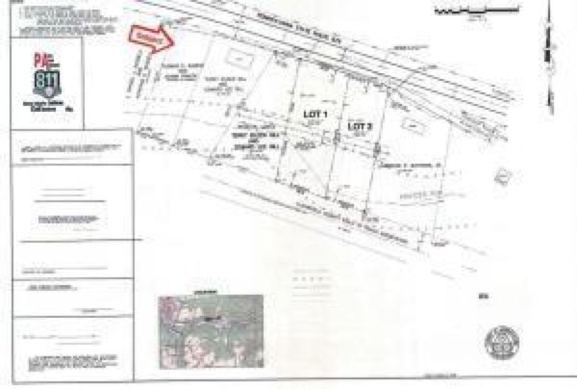
LOT #3 CURWENSVILLE GRAMPIAN HWY
Grampian, PA 16838
PRICE: $25,000
Active | MLS# 06-8584
beds
full baths
sq ft
.70 Acre
0.7 Acres
The Details
Lot #3 is one of 3 Lots available in at this Location. Public Water and Sewage are Available with Curb Cut Approval. These lots have been Cleared, Surveyed and are located near the Clearfield County Rails to Trails. Taxes are estimated. See attached Map for Lot #3 Location.
Property Overview
| Property Type | Land |
| School District | Curwensville |
| County | Clearfield |
| Tax Municipality | Penn Township |
| Total Taxes | $100 |
Interest${{ vm.principal }}
Insurance${{ vm.pmi }}
Insurance${{ vm.taxes }}
*All fees are for estimate purposes only.
Directions: Route 879 Curwensville Grampian Highway. From Grampian the Property is on the Right just before Melody Road.
| Sq. Footages | |
|---|---|
| Above Grade Living Area | |
| Apx Below Grade Living Area |
| Rooms | Main | Upper | Lower | Bsmt. |
|---|
| Area 06 Curwensville |
| Association Fee $ |
| Cap Fee $ |
| Wooded Acres |
| Assessed Value |
The data relating to real estate for sale on this website comes in part from the Internet Data exchange (IDX) program of Clearfield Jefferson Association of REALTORS®. Information deemed reliable but not guaranteed. IDX information is provided exclusively for consumers' personal, non-commercial use and may not be used for any purpose other than to identify prospective properties consumers may be interested in purchasing. Copyright © 2023 Clearfield Jefferson Association of REALTORS®. All Rights Reserved.
DISCOVER YOUR HOMES TRUE VALUE
Get your local market report by signing up for a FREE valuation




