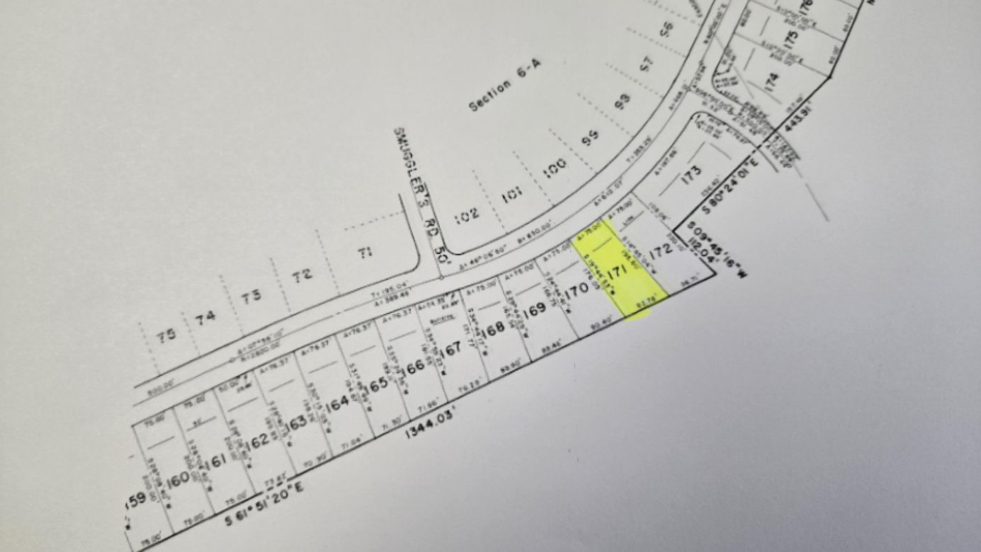
6A 171 BAY RD
Dubois, PA 15801
PRICE: $1,500
Active | MLS# 12-13647
beds
full baths
sq ft
0
The Details
Build Your Dream Home at Treasure Lake!The necessity to journey far for a wildlife-rich environment, serene lakes, and golfing experiences will diminish when you create your dream residence in the gated community of Treasure Lake. This nearly level lot provides convenient access to both the front and back gates, making it an ideal location for anyone seeking a short commute to work.Treasure Lake boasts: Two PGA-rated golf courses Two picturesque lakes A marina Various dining establishments And so much more! Contact us today for additional information.
Property Overview
| Property Type | Land |
| School District | Dubois |
| County | Clearfield |
| Tax Municipality | DuBois |
| Total Taxes | $166.25 |
Interest${{ vm.principal }}
Insurance${{ vm.pmi }}
Insurance${{ vm.taxes }}
*All fees are for estimate purposes only.
Directions: Enter Treasure Lake and drive to the stop sign T. Turn left. Go through the 4 way stop sign and keep going. Lot sits on the left hand side before you get to Treasure Lake Church.
| Sq. Footages | |
|---|---|
| Above Grade Living Area | |
| Apx Below Grade Living Area |
| Rooms | Main | Upper | Lower | Bsmt. |
|---|
| Area 12 Treasure Lake |
| Association Fee $ |
| Cap Fee $ |
| Wooded Acres |
| Assessed Value |
The data relating to real estate for sale on this website comes in part from the Internet Data exchange (IDX) program of Clearfield Jefferson Association of REALTORS®. Information deemed reliable but not guaranteed. IDX information is provided exclusively for consumers' personal, non-commercial use and may not be used for any purpose other than to identify prospective properties consumers may be interested in purchasing. Copyright © 2023 Clearfield Jefferson Association of REALTORS®. All Rights Reserved.
DISCOVER YOUR HOMES TRUE VALUE
Get your local market report by signing up for a FREE valuation


