ON DREIBELBIS STREET ST
STATE COLLEGE, PA 16801
PRICE: $1,450,000
Active | MLS# pace2517728
1.04 Acres
The Details
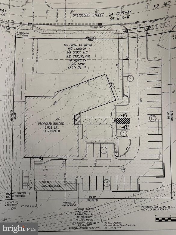
Approved Medical Development Opportunity | 1.04 Acres Fully approved medical office development site offering 1.04 acres of prime commercial land. This shovel-ready opportunity includes approved plans for an 8,032 SF, single-story medical office building — allowing a buyer to move directly into the development phase without the uncertainty and delay of entitlement approvals. The site is designed to accommodate approximately 33 parking spaces, providing strong support for medical or professional office use. All major utilities are available at the property line, including: Natural gas Public water City sewer Bring your own builder — there are no builder restrictions, offering flexibility to customize construction and control costs. This is an ideal opportunity for medical users, investors, or developers seeking a streamlined path to new construction with approvals already in place.
Property Overview
| Subdivision | NONE AVAILABLE |
| School District | STATE COLLEGE AREA |
| County | CENTRE |
| Municipality | COLLEGE TWP |
| Sewer | Public Sewer |
Interest${{ vm.principal }}
Insurance${{ vm.pmi }}
Insurance${{ vm.taxes }}
*All fees are for estimate purposes only.
| Sq. Footages | |
|---|---|
| Above Grade Finished Sq. Ft. | |
| Above Grade Unfinished Sq. Ft. | |
| Below Grade Finished Sq. Ft. | |
| Below Grade Unfinished Sq. Ft. | |
| Total Finished Sq. Ft. |
| Rooms | Main | Upper | Lower | Bsmt. |
|---|
| Subdivision NONE AVAILABLE |
| Zoning L2 |
| Possession Settlement |
| Assessed Value |
IDX information is provided exclusively for consumers' personal, non-commercial use, it may not be used for any purpose other than to identify prospective properties consumers may be interested in purchasing. All information provided is deemed reliable but is not guaranteed accurate by the Centre County Association of REALTORS® MLS and should be independently verified. No reproduction, distribution, or transmission of the information at this site is permitted without the written permission from the Centre County Association of REALTORS®. Each office independently owned and operated.
DISCOVER YOUR HOMES TRUE VALUE
Get your local market report by signing up for a FREE valuation















